ウィンディ中村 A
築年数 築25年
総階数2階建
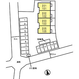
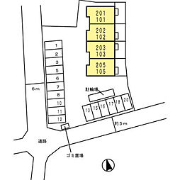
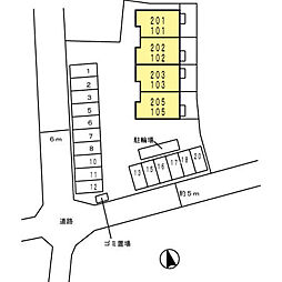
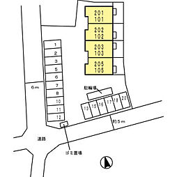
- 龍野町中村
-
- JR姫新線 本竜野 徒歩10分
JR姫新線 東觜崎 徒歩46分
- JR姫新線 本竜野 徒歩10分
掲載物件4件
| 間取り図 | 階 | 賃料/管理費等 | 敷金/礼金 | 間取/面積 | |
|---|---|---|---|---|---|
|
2階
|
7.0万円 4,000円 |
敷0.0万円 礼5.0万円 |
3LDK
68.75m2 |
|
|
2階
|
7.0万円 4,000円 |
敷0.0万円 礼5.0万円 |
3LDK
68.75m2 |
|
|
2階
|
7.0万円 4,000円 |
敷0.0万円 礼5.0万円 |
3LDK
68.75m2 |
|
|
2階
|
7.0万円 4,000円 |
敷0.0万円 礼5.0万円 |
3LDK
68.75m2 |
|























































































































































































































































































































































































































































































































































































































































































































































